
![]() |
www.lecznica-as.lodz.pl |
| oraz | ![]() |
| i | ![]() |
lek. wet. Paweł Boruc
- dysplazja (stopniowa przebudowa początkowo prawidłowej architektoniki tkanek skutkująca finalnie niedopasowaniem elementów składowych stawu)
- osteochondrozy,
- choroba Calve-Legg-Perthesa,
- choroby zwyrodnieniowe stawów,
- schorzenia nabyte – urazy,
Dysplazja stawów biodrowych (DSB, Dysplasia acetabuli, Dysplazja bioder)
Staw biodrowy jest stawem kulistym, zbudowanym z panewki kości biodrowej i głowy kości udowej, aparat więzadłowy stanowi więzadło głowy kości udowej , więzadło przezpanewkowe, torebka stawowa, a także mięsnie miednicy mające swoje przyczepy zarówno na kości udowej jak i miednicy.
Zakres ruchu w stawie – zginanie i prostowanie, w mniejszym stopniu pronacji i supinacji (odowdzenia i przywodzenia), znikomym ruch rotacyjny.
Dysplazja stawu lub stawów biodrowych (choroba może dotyczyć jednego lub obu stawów w równym lub różnym stopniu) jest chorobą najczęściej dotykającą psy duże szybko rosnące, średnie, rzadko małe, lub karłowate.
Choroba NIE JEST WRODZONA (po urodzeniu psy mają prawidłowo zbudowane stawy), jej etiologia jest wieloczynnikowa, a jednym z elementów składowych jest wrodzona skłonność osobnika u którego rodziców stwierdzono zmiany w stawie/stawach do wykształcenia się tej wady w trakcie rozwoju psa. Obok tego czynnika najczęściej wymienia się szybki wzrost, spowodowany karmieniem wzbogaconym np. jonami wapnia, białkiem, węglowodanami pożywieniem (statystycznie choroba występuję częściej u osobników tej samej rasy karmionych ad libitum), nadmierny wysiłek fizyczny, drobne urazy.
Objawy kliniczne mogą pojawić się najczęściej pomiędzy 3-12 miesiącem życia psa, niekiedy później, u psów nawet kilku letnich.
Psy mają problem ze wstawaniem – nasilająca się kulawizna po spoczynku, kuleją po wzmożonym ruchu, bieganiu, unikają biegania, biegnąc stawiają obie tylne kończyny razem, przewracają się podczas gwałtownych skrętów, pojawia się sztywny chód, grzbietowe wygięcie kręgosłupa w odcinku lędźwiowo-krzyżowym.
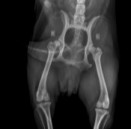
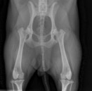
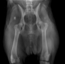
Badaniem można stwierdzić bolesność podczas biernych ruchów w stawie, mniejszy zakres ruchu w stawie, fenomen Ortolaniego – charakterystyczne „klikniecie” w stawie biodrowym wynikające z jego niestabilności. Najdokładniejszym badaniem jest badanie radiologiczne stawów biodrowych. Zdjęcie wykonuję się w projekcji grzbietowo-brzusznej – V-D, pies leży na grzbiecie (niekiedy konieczne jest wykonanie dodatkowych zdjęć w innych projekcjach). W większości przypadków do wykonania takiego zdjęcia konieczne jest uspokojenie pacjenta – sedacja i rozluźnienie mięśni – miorelaksacja, co uzyskuję się za pomocą iniekcyjnych środków farmakologicznych.
Objawy radiologiczne są różne w zależności od stopnia nasilenia zmian w stawie, dotyczyć mogą panewki stawu biodrowego, główki kości udowej lub obu struktur jednocześnie.
Rzadko stosowanymi badaniami dodatkowymi są tomografia komputerowa stawów – CT, lub arthroskopia.
Leczenie można podzielić na zachowawcze, chirurgiczne, terapie komórkami macierzystymi. Leczenie zachowawcze polegające na ograniczonej ruchliwości pacjenta, podawania leków wspomagających wytwarzanie mazi stawowej i regenerację chrząstki stawowej – chondroprotetyki, w stanach nasilonego bólu i kulawizny leki z grupy NLPZ – niesteroidowe przeciwzapalne. Leczenie zachowawcze jest z reguły skuteczne u pacjentów z łagodna dysplazją( z niskim stopniem zaawansowania zmian).
Leczenie chirurgiczne.
Pectinectomia – zabieg polegający na usunięciu mięśnia grzebieniastego, zwanego też łonowm – m. pectineus, mający przyczep początkowy na kości łonowej, a końcowy na wardze przyśrodkowej kości udowej, jego funkcja jest zginanie stawu biodrowego, przywodzenie kończyny oraz jej odwracanie.
Usunięcie mięśnia powoduję zmniejszenie nacisku główki kości udowej na panewkę, zmniejszenie rozciągania torebki stawowej powodując zmniejszenie krótko lub długotrwałe objawów bolesności.
Zabieg z reguły stosowany we wczesnym stadium choroby (po wykryciu zmian u młodych psów), lub w dysplazji niskiego stopnia. Zabieg można rozszerzyć o odnerwienie torebki stawowej, przecięcie mięśnia biodrowo-lędźwiowego – PIN.
Symfizjodeza – wykonywany u młodych psów (pomiędzy 3 a 5 miesiącem życia) zabieg o charakterze zapobiegawczym. Polega na zniszczeniu płytki wzrostowej w obrębie spojenia łonowego, co skutkuje dalszym wzrostem kości biodrowej i kulszowej z zatrzymanie wzrostu w obrębie kości łonowej, w konsekwencji powodując obracanie się panewki w kierunku dobrzusznym.
TPO – potrójna osteotomia miednicy, polega na uwolnieniu mięśnia grzebieniastego, przeprowadzeniu osteotomi (usunięcie fragmentu kostnego) kości łonowej, kulszowej oraz biodrowej. Zabieg pozwala na uwolnienie całej panewki stawu biodrowego oraz jej obrócenie o odpowiedni kąt oraz ponownym ustabilizowaniu dzięki zastosowaniu płyty kostnej (mocowana na kości biodrowej).
Odnerwienie strony grzbietowej stawu biodrowego – ograniczenie odczuwania bólu poprzez zniszczenie receptorów bólowych.
Osteotomia głowy kości udowej – artroplastyka resekcyjna. Zabieg polegający na usunięciu główki kości udowej wraz z jej szyjka, najczęściej stosowany u pacjentów po zwichnięciu stawu biodrowego lub ze znacznymi zmianami w obrębie główki kości udowej. Anatomiczną fukncję stawu przejmują mięśnie miednicy. Zabieg najskuteczniejszy u pacjentów o masie ciała poniżej 20kg, u pacjentów cięższych również uzyskujemy dobre finalne efekty leczenia, jednakże okres rekonwalescencji i ryzyko powikłań jest odpowiednio większe.
Do określenia stopnia dysplazji stosuje się następującą skalę ocen:
A - stawy biodrowe normalne
B - Stawy biodrowe prawie normalne
C - dysplazja nieznaczna
D - dysplazja częściowa (ograniczona)
E - dysplazja ciężka





